Lot 4 Sierra Court, Melville, (MLS® 202523771) REMAX NOVA
Google Play iOS Google Play iOS

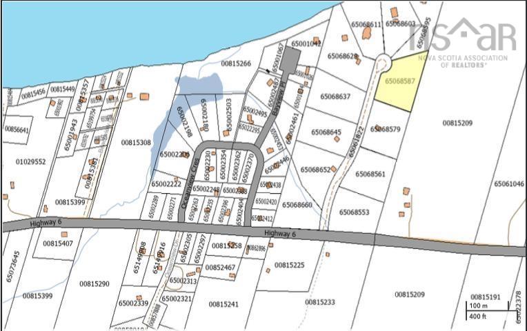
Lot 4 Sierra Court, Melville

$99,500 For Sale

Description

Over 2 acres await you to build your dream home or cottage. Let the salt water breeze ease away the day to day stress and enjoy the sounds of the ocean. Located just around the corner from River John, this private subdivision offers the tranquility and privacy that go along with taking an escape on weekends, or year round! Deeded access to the water can be obtained.

Listing Details

Address
Lot 4 Sierra Court, Melville, B0K 1N0

Status
ACTIVE
Listing Price
$99,500
MLS®
202523771
Type
n/a
Style
---
PID
65068587

Water
None
Sewer
None
Utilities
Electricity,High Speed Internet,Telephone,To Be Verified

Building Specifications

Foundation Type
---
Roof
---
Exterior Finish
---
Flooring
---

Looking for a Mortgage? Get Your Free Quote Started Today!

Garage & Parking

Garage
---
Details
---

Sales History

Demographic Data

Demographic data is based on the dissemination area that contains the listing parcel . Dissemination Areas are small areas composed of one or more neighbouring dissemination blocks. All of Canada is divided into dissemination areas. Data source: Environics Analytics via ArcGIS Online, 2021

Population Size

608

Median Age

59.1

Avg Household Size

2.1

Avg House Income

$87K

The number of people for each age range.

How the population of this area is expected to change.

The highest level of education obtained by people within this area.

The maritial status of the people in this area.

The average household income within this area.

The number of people that rent versus own.

When the buildings in the area were constructed.

The number of children at home for the given age ranges.

The occupations of the people living here.

Tax Assessment

Year Amount % Change
2024 $82,500 ---
2023 $88,500 ---
2022 $66,900 ---
2021 $66,900 ---
2020 $66,900 ---
2019 $66,900 ---
2018 $66,900 ---
2017 $66,900 ---
2016 $66,900 ---
2015 $66,900 ---
2014 $66,900 ---
2013 $66,900 ---
2012 $66,800 ---

Maps

Mortgage Inquiries

Last Updated On: 9/19/2025 12:59:37 PM (UTC)