Florence Lane, Wellington, (MLS® 202602951) REMAX NOVA
Google Play iOS Google Play iOS

Florence Lane, Wellington

$649,000 Pending

Description

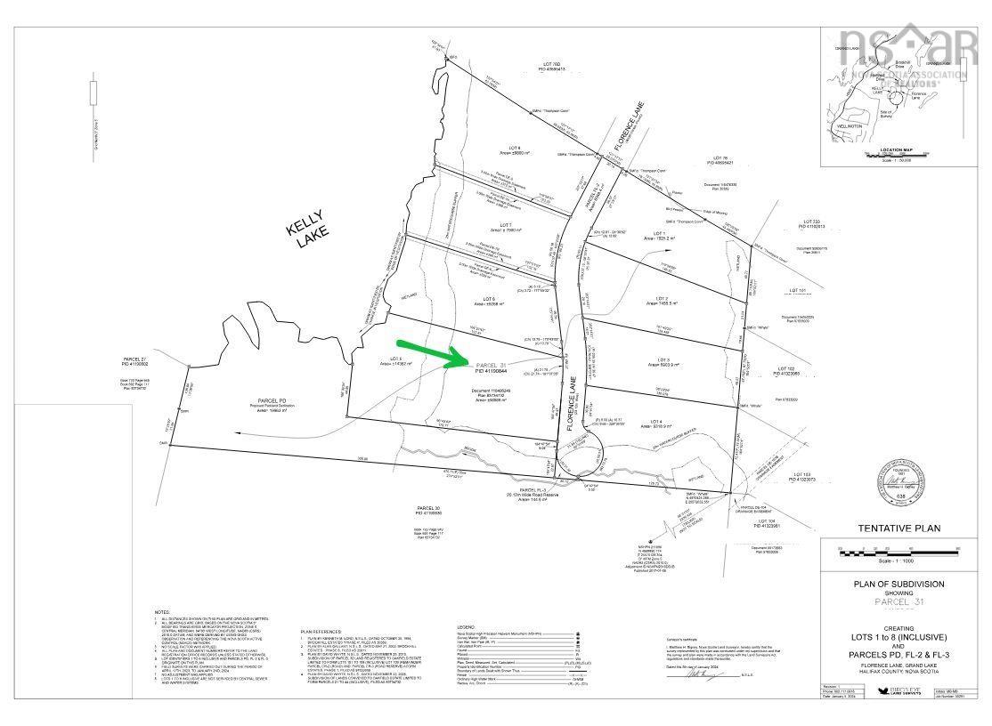
Presenting a remarkable opportunity to acquire and develop multiple (8) exceptional lots or build your dream lakefront home in the highly desirable Brookhill Estates subdivision, nestled within the vibrant Grand Lake community. Just 3 minutes off the highway this expansive 25.9-acre parcel boasts an impressive 1491 ft of pristine water frontage on Kelly Lake, offering stunning settings and endless potential. Ideally situated along Highway 2, between Fall River and Enfield, at the picturesque end of Florence Lane.

Listing Details

Address
Florence Lane, Wellington, B2T 1B5

Status
PENDING
Listing Price
$649,000
MLS®
202602951
Type
n/a
Style
---
PID
41190844

Water
None
Sewer
None
Utilities
None

Building Specifications

Foundation Type
---
Roof
---
Exterior Finish
---
Flooring
---

Looking for a Mortgage? Get Your Free Quote Started Today!

Garage & Parking

Garage
---
Details
---

Sales History

Halifax Regional Municipality Data

Zoning
R-6
By-Law Code:
Polling District
Waverley - Fall River - Musquodoboit Valley
Concillor: Cathy Deagle Gammon
Waste Collection
MONDAY
Contractor: REgroup

Demographic Data

Demographic data is based on the dissemination area that contains the listing parcel . Dissemination Areas are small areas composed of one or more neighbouring dissemination blocks. All of Canada is divided into dissemination areas. Data source: Environics Analytics via ArcGIS Online, 2021

Population Size

808

Median Age

42.6

Avg Household Size

2.6

Avg House Income

$120K

The number of people for each age range.

How the population of this area is expected to change.

The highest level of education obtained by people within this area.

The maritial status of the people in this area.

The average household income within this area.

The number of people that rent versus own.

When the buildings in the area were constructed.

The number of children at home for the given age ranges.

The occupations of the people living here.

Tax Assessment

Year Amount % Change
2024 $363,200 ---
2023 $312,000 ---
2022 $237,000 ---
2021 $6,000 ---
2020 $6,000 ---
2019 $6,000 ---
2018 $6,000 ---
2017 $6,000 ---
2016 $6,000 ---
2015 $6,000 ---
2014 $6,000 ---
2013 $6,000 ---
2012 $6,000 ---

Maps

Mortgage Inquiries

Last Updated On: 5/27/2026 4:54:44 PM (UTC)