Spring Tide Lane, Two Islands, (MLS® 202526595) REMAX NOVA
Google Play iOS Google Play iOS

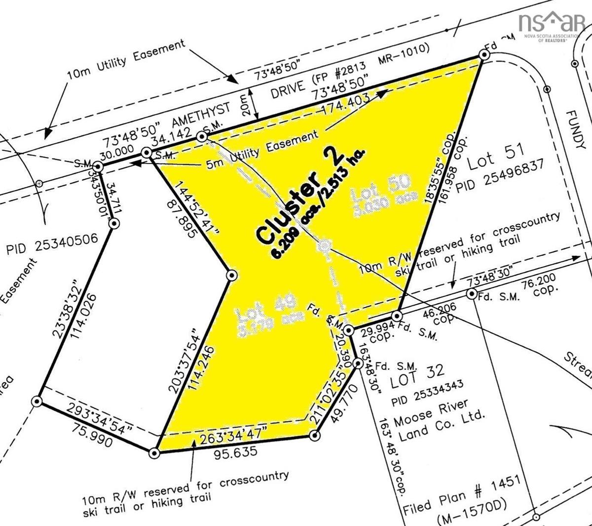
Spring Tide Lane, Two Islands

$40,000 For Sale

Description

Available this more than 6 acre undeveloped lot within the privately owned and operated community of RockCliffe By The Sea. Potential for substantial views of the Minas Basin, Two Islands, and across the bay to Blomidon. Utility powerline is located at the adjacent property. Beach access is found within the subdivision where you can walk the shoreline and enjoy bass fishing, clam digging, beach combing or perhaps a bonfire. The road system within the subdivision is privately maintained year around and as such there is an annual fee charge to the landowners. Come and join the private, peaceful community and build your dreamhouse or getaway home.

Listing Details

Address
Spring Tide Lane, Two Islands, B0M 1S0

Status
ACTIVE
Listing Price
$40,000
MLS®
202526595
Type
n/a
Style
---
PID
25509951

Water
None
Sewer
None
Utilities
Electricity

Building Specifications

Foundation Type
---
Roof
---
Exterior Finish
---
Flooring
---

Looking for a Mortgage? Get Your Free Quote Started Today!

Garage & Parking

Garage
---
Details
---

Sales History

Demographic Data

Demographic data is based on the dissemination area that contains the listing parcel . Dissemination Areas are small areas composed of one or more neighbouring dissemination blocks. All of Canada is divided into dissemination areas. Data source: Environics Analytics via ArcGIS Online, 2021

Population Size

628

Median Age

57.3

Avg Household Size

2.1

Avg House Income

$79K

The number of people for each age range.

How the population of this area is expected to change.

The highest level of education obtained by people within this area.

The maritial status of the people in this area.

The average household income within this area.

The number of people that rent versus own.

When the buildings in the area were constructed.

The number of children at home for the given age ranges.

The occupations of the people living here.

Tax Assessment

Year Amount % Change
2024 $57,000 ---
2023 $43,400 ---
2022 $43,400 ---

Maps

Mortgage Inquiries

Last Updated On: 10/24/2025 9:51:59 PM (UTC)