Lot 6 Highway 224, Sheet Harbour, (MLS® 202603803) REMAX NOVA
Google Play iOS Google Play iOS

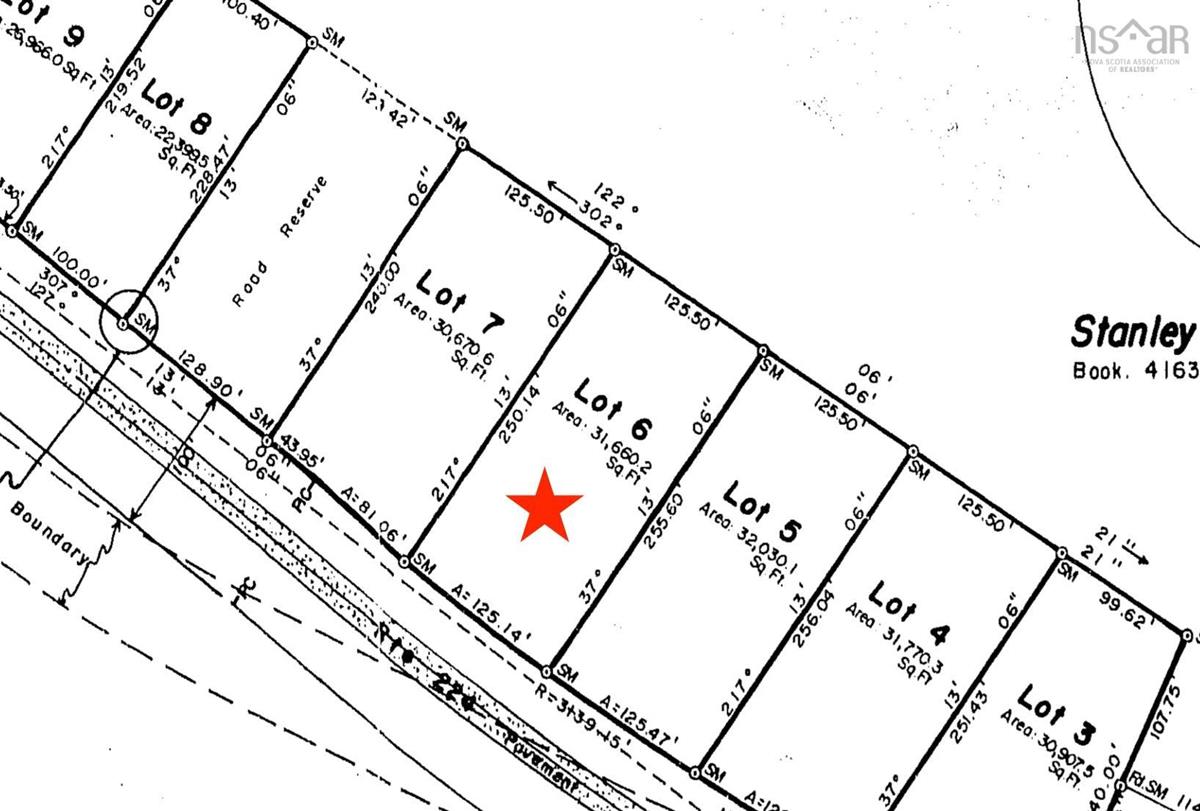
Lot 6 Highway 224, Sheet Harbour

$19,900 Pending

Description

Located just minutes from the amenities in the Village of Sheet Harbour, this 31,660 square foot lot offers an excellent opportunity to build your dream property in a convenient yet peaceful setting. With 125 feet of road frontage, the parcel provides easy access and great visibility while maintaining privacy. The lot is nicely treed and features minimal slope from the road, making it well-suited for a variety of building options. Whether you’re planning to construct a small home, a cozy cottage getaway, or place a mobile home, this versatile property offers the flexibility to bring your vision to life. Enjoy the balance of rural charm and close proximity to shops, services, schools, and the beautiful Eastern Shore coastline — all just minutes away.

Listing Details

Address
Lot 6 Highway 224, Sheet Harbour, B0J 3B0

Status
PENDING
Listing Price
$19,900
MLS®
202603803
Type
n/a
Style
---
PID
40540437

Water
None,To Be Verified
Sewer
None,To Be Verified
Utilities
None,To Be Verified

Building Specifications

Foundation Type
---
Roof
---
Exterior Finish
---
Flooring
---

Looking for a Mortgage? Get Your Free Quote Started Today!

Garage & Parking

Garage
---
Details
---

Sales History

Halifax Regional Municipality Data

Zoning
MU
By-Law Code:
Polling District
Lawrencetown – The Lakes – Chezzetcook – Eastern Shore
Concillor: David Hendsbee
Waste Collection
FRIDAY
Contractor: Eastern Shore Cartage

Demographic Data

Demographic data is based on the dissemination area that contains the listing parcel . Dissemination Areas are small areas composed of one or more neighbouring dissemination blocks. All of Canada is divided into dissemination areas. Data source: Environics Analytics via ArcGIS Online, 2021

Population Size

532

Median Age

55.1

Avg Household Size

2.3

Avg House Income

$77K

The number of people for each age range.

How the population of this area is expected to change.

The highest level of education obtained by people within this area.

The maritial status of the people in this area.

The average household income within this area.

The number of people that rent versus own.

When the buildings in the area were constructed.

The number of children at home for the given age ranges.

The occupations of the people living here.

Tax Assessment

Year Amount % Change
2024 $12,000 ---
2023 $10,800 ---
2022 $10,800 ---
2021 $10,800 ---
2020 $10,800 ---
2019 $10,800 ---
2018 $10,800 ---
2017 $10,800 ---
2016 $10,800 ---
2015 $10,800 ---
2014 $10,800 ---
2013 $10,800 ---
2012 $10,800 ---

Maps

Mortgage Inquiries

Last Updated On: 4/15/2026 6:41:53 PM (UTC)