Lot 25-9 Old Halifax Road, Salem, (MLS® 202604029) REMAX NOVA
Google Play iOS Google Play iOS

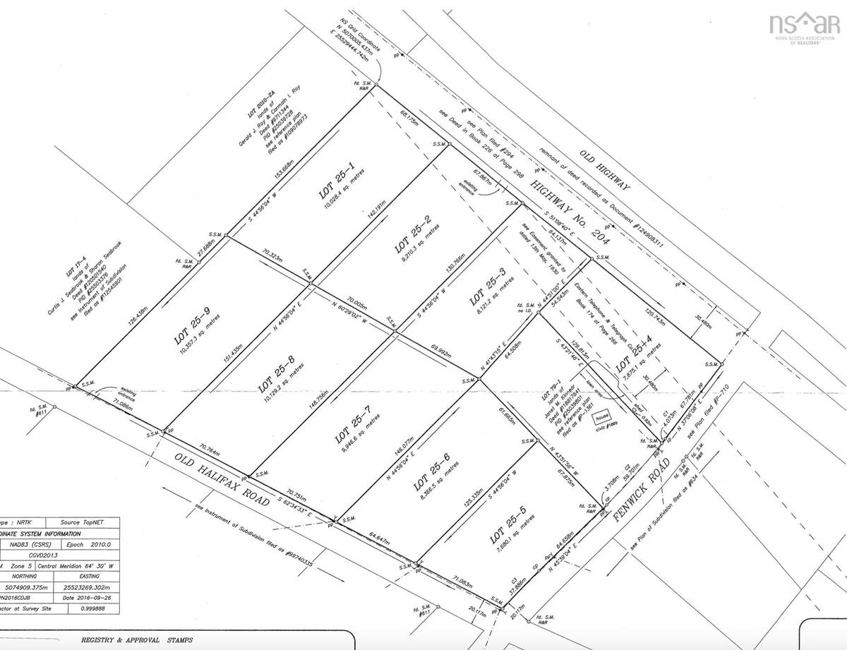
Lot 25-9 Old Halifax Road, Salem

$64,900 For Sale

Description

You will find country living at its finest on these oversized lots, with a great view of the surrounding countryside, just minutes from town. All lots are surveyed and approved.

Listing Details

Address
Lot 25-9 Old Halifax Road, Salem, B4H 3Y1

Status
ACTIVE
Listing Price
$64,900
MLS®
202604029
Type
n/a
Style
---
PID
25522574

Water
None
Sewer
None
Utilities
Electricity,Telephone

Building Specifications

Foundation Type
---
Roof
---
Exterior Finish
---
Flooring
---

Looking for a Mortgage? Get Your Free Quote Started Today!

Garage & Parking

Garage
---
Details
---

Sales History

Demographic Data

Demographic data is based on the dissemination area that contains the listing parcel . Dissemination Areas are small areas composed of one or more neighbouring dissemination blocks. All of Canada is divided into dissemination areas. Data source: Environics Analytics via ArcGIS Online, 2021

Population Size

617

Median Age

47.3

Avg Household Size

2.3

Avg House Income

$89K

The number of people for each age range.

How the population of this area is expected to change.

The highest level of education obtained by people within this area.

The maritial status of the people in this area.

The average household income within this area.

The number of people that rent versus own.

When the buildings in the area were constructed.

The number of children at home for the given age ranges.

The occupations of the people living here.

Maps

Mortgage Inquiries

Last Updated On: 3/6/2026 5:48:08 PM (UTC)