Lot 25-5 Old Halifax Road, Salem, (MLS® 202604021) REMAX NOVA
Google Play iOS Google Play iOS

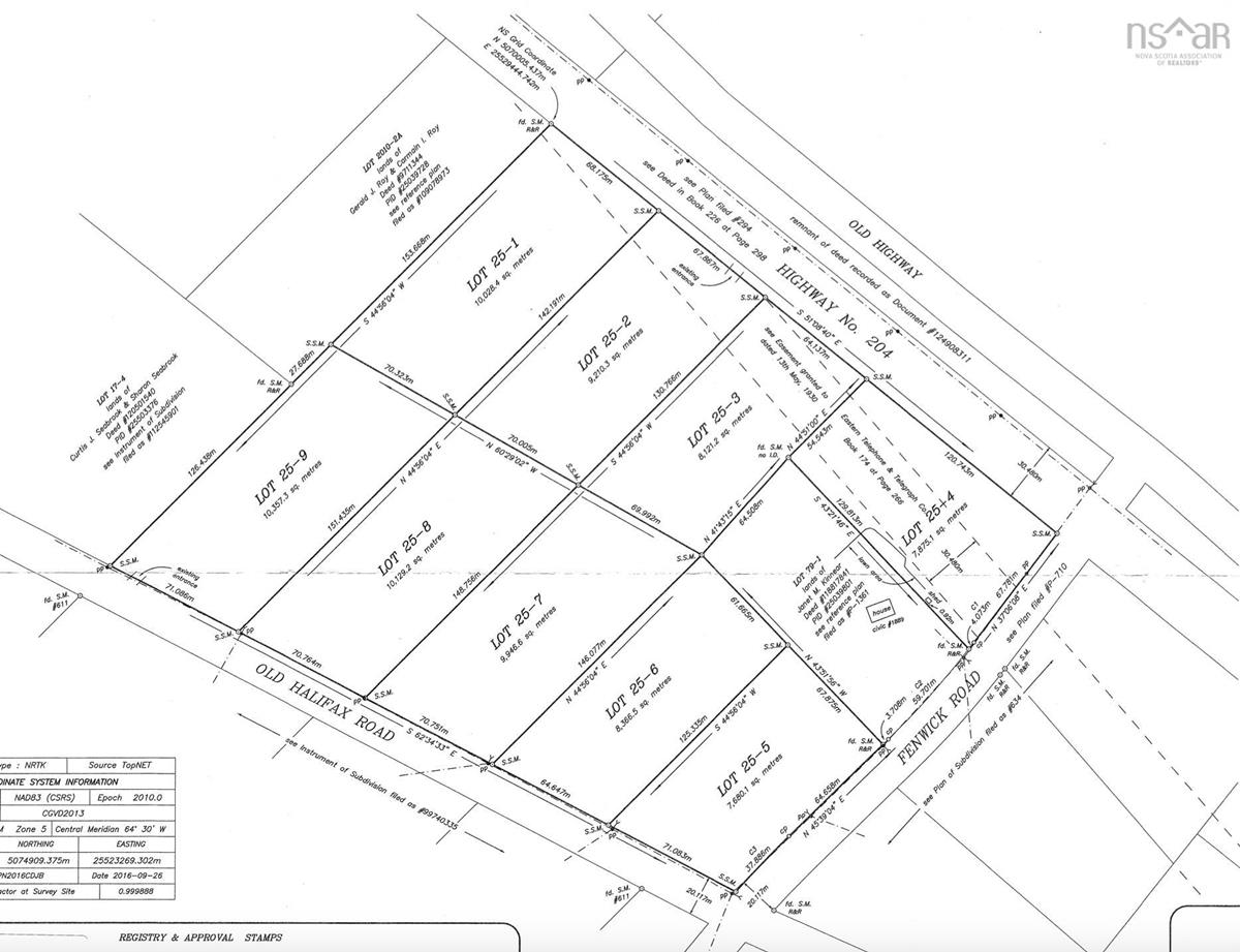
Lot 25-5 Old Halifax Road, Salem

$69,900 For Sale

Description

You will find country living at its finest on these oversized lots, with a great view of the surrounding countryside, just minutes from town. All lots are surveyed and approved.

Listing Details

Address
Lot 25-5 Old Halifax Road, Salem, B4H 3Y1

Status
ACTIVE
Listing Price
$69,900
MLS®
202604021
Type
n/a
Style
---
PID
25522533

Water
None
Sewer
None
Utilities
Electricity,Telephone

Building Specifications

Foundation Type
---
Roof
---
Exterior Finish
---
Flooring
---

Looking for a Mortgage? Get Your Free Quote Started Today!

Garage & Parking

Garage
---
Details
---

Sales History

Maps

Mortgage Inquiries

Last Updated On: 3/6/2026 5:18:25 PM (UTC)