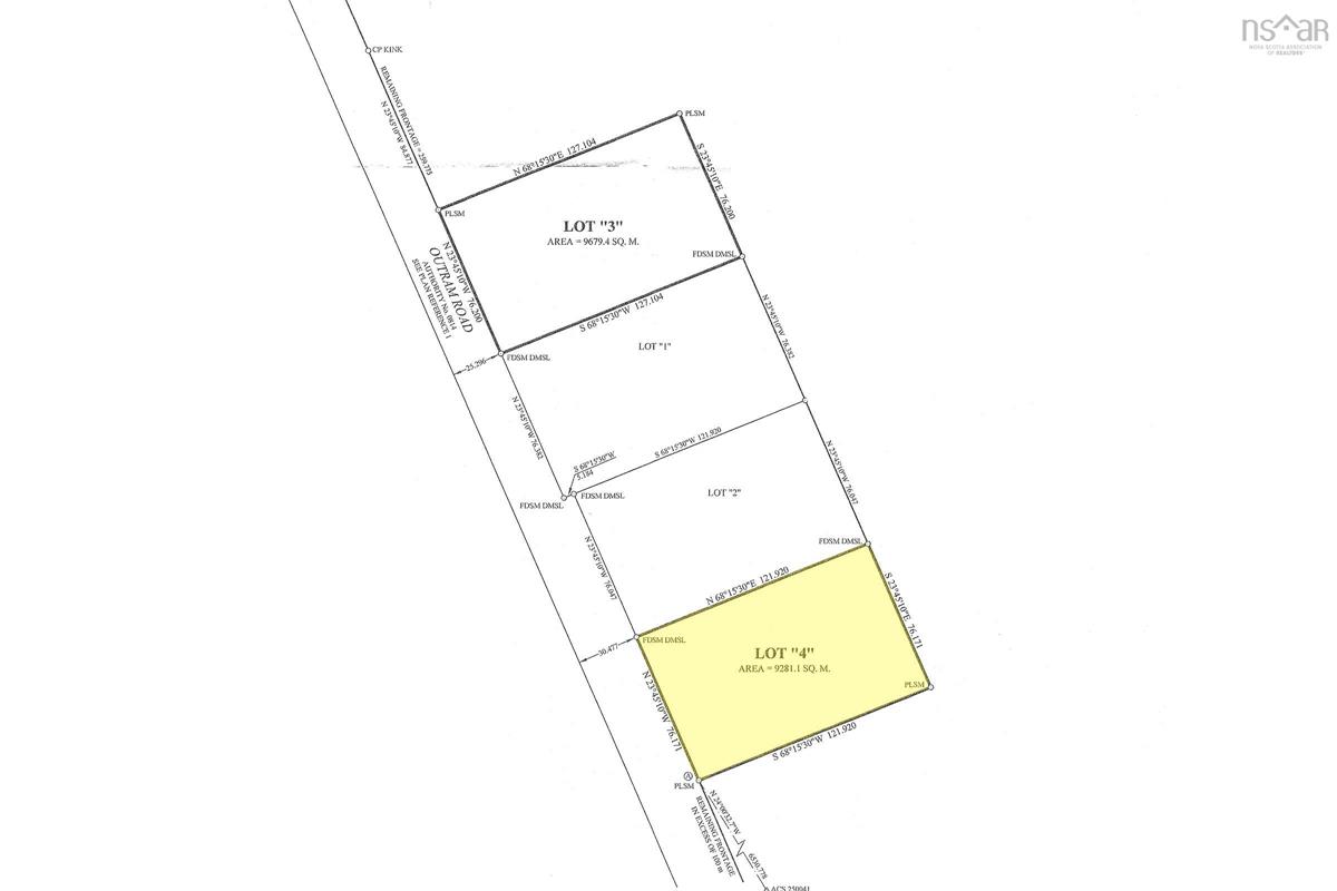
Lot 4 Outram Road, Mount Hanley, (MLS® 202520721) REMAX NOVA
Google Play iOS Google Play iOS

Lot 4 Outram Road, Mount Hanley

Sold

Description

Welcome to Arlington Acres, a place where the natural world is not simply a backdrop but a living companion. This oversized country lot includes access to an adjoining 50 acre nature preserve, a sanctuary of spruce, birch, ash and maple. Trails wind gently through the trees, and new paths await your footsteps, inviting you to explore in the same spirit of curiosity that has guided generations of nature lovers. Here, the forest becomes your neighbour and your teacher. Just moments away, the world famous Bay of Fundy and several lakes offer endless opportunities for quiet reflection and discovery. As part of this offering, the lifelong local developer will guide you to nearby secret places known only to a few beaches, waterfalls, trails and fishing spots that remind you how alive the landscape truly is. The preserve is private to this development and will be shared only among the owners of its limited number of lots. As a new owner, you are invited to take part in its thoughtful development and ongoing stewardship. Cutting trails, exploring its hidden corners, and helping to shape its future are all part of the experience of living here. Protective covenants ensure that the preserve will remain unspoiled for generations, while allowing residents to connect with it in meaningful ways. The property fronts on a paved road and offers easy access to power, cell service and fibre internet, blending modern convenience with natural serenity. Quick closing is available so you can begin building without delay. The lot was fully surveyed in 2023 and exceeds minimum requirements for onsite septic & well. The lines are easy to walk, and the terrain is level with mature trees and no large boulders, once part of a farm field ages ago. Additional lots are available if your vision expands. Arlington Acres is more than a building site. It is a chance to belong to a landscape that still speaks, and to play a role in ensuring its voice endures.

Listing Details

Address
Lot 4 Outram Road, Mount Hanley, B0S 1P0

Status
SOLD
Sold Price
Log In
MLS®
202520721
Type
n/a
Style
---
PID
05323084

Water
None
Sewer
None
Utilities
Electricity,High Speed Internet,Telephone

Building Specifications

Foundation Type
---
Roof
---
Exterior Finish
---
Flooring
---

Looking for a Mortgage? Get Your Free Quote Started Today!

Garage & Parking

Garage
---
Details
---

Sales History

Demographic Data

Demographic data is based on the dissemination area that contains the listing parcel . Dissemination Areas are small areas composed of one or more neighbouring dissemination blocks. All of Canada is divided into dissemination areas. Data source: Environics Analytics via ArcGIS Online, 2021

Population Size

452

Median Age

56.2

Avg Household Size

2.2

Avg House Income

$69K

The number of people for each age range.

How the population of this area is expected to change.

The highest level of education obtained by people within this area.

The maritial status of the people in this area.

The average household income within this area.

The number of people that rent versus own.

When the buildings in the area were constructed.

The number of children at home for the given age ranges.

The occupations of the people living here.

Maps

Mortgage Inquiries

Last Updated On: 10/16/2025 5:07:28 PM (UTC)