10 +- Acres Little Harbour Road, Little Harbour, (MLS® 202522738) REMAX NOVA
Google Play iOS Google Play iOS

10 +- Acres Little Harbour Road, Little Harbour

Sold

Description

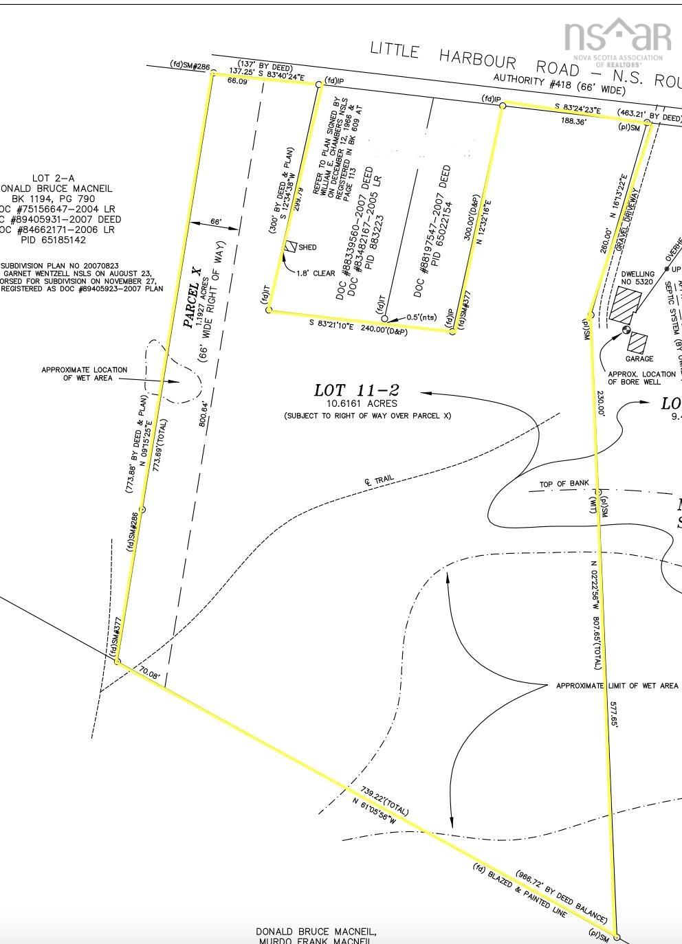
Wowsers!! Over 10 ACRES up on a hill with WATER VIEW! WHAT A SPOT TO BUILD YOUR DREAM HOME... Already surveyed and a "perk test" for the septic.... Use your imagination to plan where your dream home will go! There's even potential to split the land as there are two access points from the main road. 188 ft on one side and 137 ft road frontage on the other. Just minutes away you can put your toes in the sand at beautiful Melmerby Beach known for its warm waters in the summer, a popular 2 km beach with lovely board walks for those evening strolls. What a steal of a deal!

Listing Details

Address
10 +- Acres Little Harbour Road, Little Harbour, B2H 5C4

Status
SOLD
Sold Price
Log In
MLS®
202522738
Type
n/a
Style
---
PID
65201451

Water
To Be Verified
Sewer
To Be Verified
Utilities
To Be Verified

Building Specifications

Foundation Type
---
Roof
---
Exterior Finish
---
Flooring
---

Looking for a Mortgage? Get Your Free Quote Started Today!

Garage & Parking

Garage
---
Details
---

Sales History

Demographic Data

Demographic data is based on the dissemination area that contains the listing parcel . Dissemination Areas are small areas composed of one or more neighbouring dissemination blocks. All of Canada is divided into dissemination areas. Data source: Environics Analytics via ArcGIS Online, 2021

Population Size

635

Median Age

58.6

Avg Household Size

2.1

Avg House Income

$159K

The number of people for each age range.

How the population of this area is expected to change.

The highest level of education obtained by people within this area.

The maritial status of the people in this area.

The average household income within this area.

The number of people that rent versus own.

When the buildings in the area were constructed.

The number of children at home for the given age ranges.

The occupations of the people living here.

Tax Assessment

Year Amount % Change
2024 $44,200 ---
2023 $42,500 ---
2022 $40,500 ---
2021 $40,500 ---
2020 $40,500 ---
2019 $40,500 ---
2018 $40,500 ---
2017 $40,500 ---
2016 $40,500 ---
2015 $40,500 ---
2014 $40,500 ---
2013 $40,500 ---
2012 $37,500 ---

Maps

Mortgage Inquiries

Last Updated On: 11/24/2025 12:00:00 AM (UTC)