Lot 9 Stewood Drive, Howie Centre, (MLS® 202519492) REMAX NOVA
Google Play iOS Google Play iOS

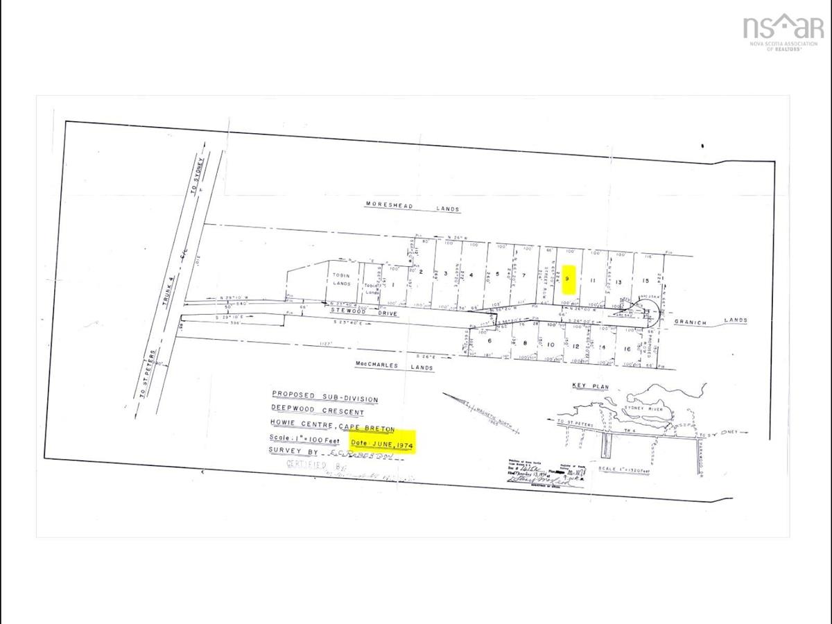
Lot 9 Stewood Drive, Howie Centre

Sold

Description

This 0.51-acre lot is located in a quiet, well-established neighborhood just off King's Road in the desirable Stewood Drive subdivision. The lot is partially cleared and includes a gravel driveway already installed, along with a previously approved septic permit – a valuable head start for buyers planning to build. The parcel offers approximately 101 feet of road frontage, is zoned RR5 (One and Two Unit Rural Residential), and has power available at the roadside. Mature trees surround the lot, offering a blend of privacy and natural beauty. With nearby homes on well-maintained streets and just minutes to shopping, this location strikes the perfect balance between country living and urban convenience. Directions: From Sydney River, head east on Highway 4. Turn right onto Stewood Drive (just past McCharles Lane and Circle K). The lot is located on the right-hand side, look for the gravel driveway and open clearing. Note: Possession to take place in early 2026, with closing of sale to occur no earlier than January 2, 2026, as per seller. No outbuildings are included with the listing.

Listing Details

Address
Lot 9 Stewood Drive, Howie Centre, B1L 1C6

Status
SOLD
Sold Price
Log In
MLS®
202519492
Type
n/a
Style
---
PID
15029697

Water
None
Sewer
None
Utilities
Cable,Electricity,High Speed Internet,Telephone,To Be Verified

Building Specifications

Foundation Type
---
Roof
---
Exterior Finish
---
Flooring
---

Looking for a Mortgage? Get Your Free Quote Started Today!

Garage & Parking

Garage
---
Details
---

Sales History

Demographic Data

Demographic data is based on the dissemination area that contains the listing parcel . Dissemination Areas are small areas composed of one or more neighbouring dissemination blocks. All of Canada is divided into dissemination areas. Data source: Environics Analytics via ArcGIS Online, 2021

Population Size

669

Median Age

47.0

Avg Household Size

2.3

Avg House Income

$117K

The number of people for each age range.

How the population of this area is expected to change.

The highest level of education obtained by people within this area.

The maritial status of the people in this area.

The average household income within this area.

The number of people that rent versus own.

When the buildings in the area were constructed.

The number of children at home for the given age ranges.

The occupations of the people living here.

Tax Assessment

Year Amount % Change
2024 $10,000 ---
2023 $1,600 ---
2022 $1,600 ---
2021 $1,600 ---
2020 $1,600 ---
2019 $1,600 ---
2018 $1,600 ---
2017 $1,600 ---
2016 $1,600 ---
2015 $1,600 ---
2014 $3,000 ---
2013 $1,500 ---
2012 $1,500 ---

Maps

Mortgage Inquiries

Last Updated On: 10/14/2025 12:00:00 AM (UTC)