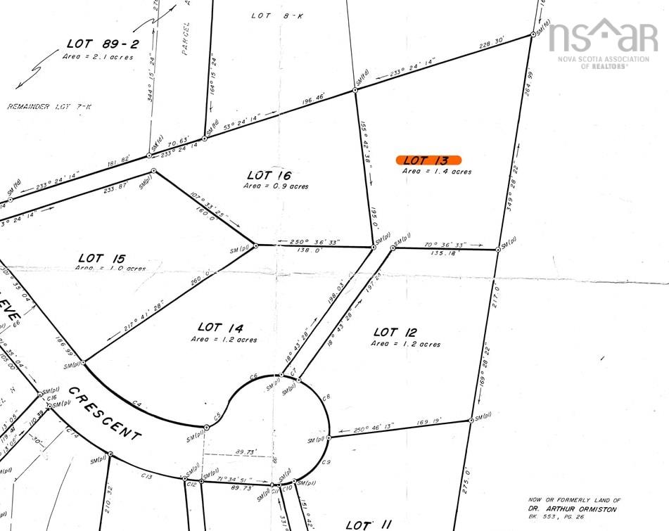
Lot 13 Lanceleve Crescent, Albert Bridge, (MLS® 202602761) REMAX NOVA
Google Play iOS Google Play iOS

Lot 13 Lanceleve Crescent, Albert Bridge

$74,000 For Sale

Description

1.4-acre wooded lot with deeded Mira River beach access! Discover the perfect blend of privacy and potential with this beautiful 1.4-acre wooded lot in a highly desirable and secluded rural neighbourhood. Level, high and dry, and situated at the highest point in the subdivision, this property offers exceptional drainage, added privacy, and elevated positioning for your future dream home. Enjoy convenient dual access from Lanceleve Crescent and Cupid’s Court, providing flexibility for driveway placement and design. The lot also includes deeded access to a charming pebbly beach on the Mira River, perfect for kayaking, swimming, or simply relaxing by the water. Modern essentials are already in place, with electric service and high-speed internet available at the property, making it easy to build without compromise. If you’re looking for space, privacy, natural beauty, and water access—all in one of the area’s most sought-after locations—this rare offering delivers.

Listing Details

Address
Lot 13 Lanceleve Crescent, Albert Bridge, B1K 3J5

Status
ACTIVE
Listing Price
$74,000
MLS®
202602761
Type
n/a
Style
---
PID
15604267

Water
None
Sewer
None
Utilities
Cable,Electricity,High Speed Internet

Building Specifications

Foundation Type
---
Roof
---
Exterior Finish
---
Flooring
---

Looking for a Mortgage? Get Your Free Quote Started Today!

Garage & Parking

Garage
---
Details
---

Sales History

Demographic Data

Demographic data is based on the dissemination area that contains the listing parcel . Dissemination Areas are small areas composed of one or more neighbouring dissemination blocks. All of Canada is divided into dissemination areas. Data source: Environics Analytics via ArcGIS Online, 2021

Population Size

464

Median Age

47.9

Avg Household Size

2.3

Avg House Income

$106K

The number of people for each age range.

How the population of this area is expected to change.

The highest level of education obtained by people within this area.

The maritial status of the people in this area.

The average household income within this area.

The number of people that rent versus own.

When the buildings in the area were constructed.

The number of children at home for the given age ranges.

The occupations of the people living here.

Tax Assessment

Year Amount % Change
2024 $30,000 ---
2023 $25,000 ---
2022 $25,000 ---
2021 $19,400 ---
2020 $19,400 ---
2019 $19,400 ---
2018 $19,400 ---
2017 $19,400 ---
2016 $19,400 ---
2015 $19,400 ---
2014 $38,800 ---
2013 $19,400 ---
2012 $19,400 ---

Maps

Mortgage Inquiries

Last Updated On: 2/15/2026 10:28:34 PM (UTC)