43 Lower Railway Street, Inverness, (MLS® 202528152) REMAX NOVA
Google Play iOS Google Play iOS

43 Lower Railway Street, Inverness

2 2 1420 sqft
$368,000 For Sale

Description

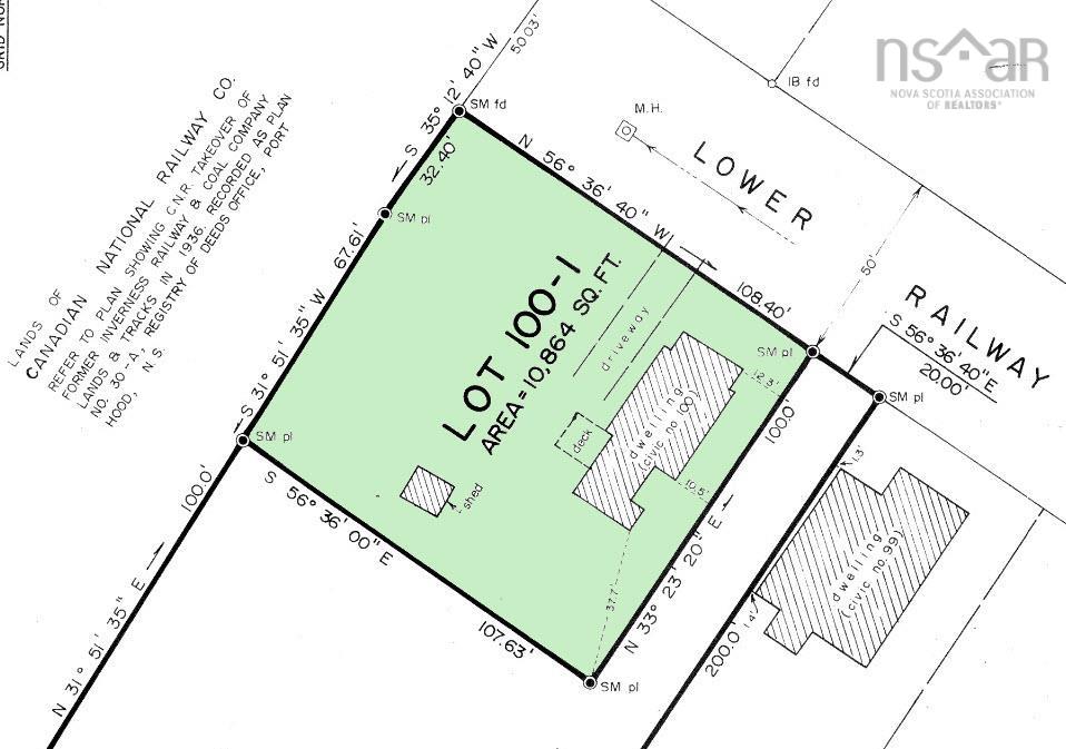
This home at the bottom of Lower Railway Street is about as close as you can get to Inverness beach and harbour: step out of your house and stroll down the boardwalk, with golf course on both sides. Check out what’s going on at the wharf. There are two bedrooms and a bathroom upstairs, along with a second kitchen. The lovely glassed-in front porch, two living rooms and the kitchen take up the main floor. The upstairs has sometimes been used as a separate place for someone to stay, hence the kitchen. Also the reason for a shower stall and a half-bath downstairs. A spacious elevated deck off the kitchen is a great spot to survey the neighbourhood, and the deck upstairs has wonderful ocean, harbour and golf course views. The lot size of 108 x 100 feet is just large enough to provide another building lot beside the house, though any buyer contemplating this should seek confirmation from the planning commission (EDPC). There is an oil furnace, currently only used for heating domestic hot water (so could now be replaced by an electric h/w heater). There are heat pumps in each of the three rooms on the main floor, plus a few electric baseboards, and a new wood-stove just installed. Municipal water and sewer services. Roof and siding are in good shape: roofing and Selkirk chimney 6/7 years old, siding 3 years. This place really is about the closest house in town to the beach! Less than a 5 minute walk down the boardwalk. Obviously walking distance to everything in town. Fine dining at the Annex restaurant is just across the road, next door to the former Miners Museum, which itself used to be the ticket office for the Inverness Railway, whose tracks terminated here. The old railway line, now become the Celtic Shores Coastal Trail, commences within feet of this house. On it you can hike, bike,ski etc. all the 50 miles down the west coast to the Causeway, via Mabou, Port Hood, Judique…..

Listing Details

Address
43 Lower Railway Street, Inverness, B0E 1N0

Status
ACTIVE
Listing Price
$368,000
MLS®
202528152
Type
Single Family
Style
Detached
Age
120
Square Footage (MLA)
970  ft2
Total Fin SqFt (TLA)
1,420  ft2
PID
50173145
Bedrooms
2
Full Baths
1
Half Baths
1

Water
Municipal
Sewer
Municipal
Utilities
Electricity,High Speed Internet,Telephone

Building Specifications

Foundation Type
Poured Concrete,Stone
Roof
Asphalt Shingle
Exterior Finish
Vinyl
Flooring
Ceramic,Hardwood,Vinyl,Vinyl Plank

Looking for a Mortgage? Get Your Free Quote Started Today!

Rooms

LEVEL TYPE DIMENSIONS
Main Floor Sun Room 5x16'8
Main Floor Living Room 14x16
Main Floor Dining Room 10x19'2
Main Floor Kitchen 12x11
Main Floor Bath 1 5'6x3'6
Main Floor Utility 5'8x11'2
Main Floor Foyer 4x6
2nd Level Bath 2 9'4x10
2nd Level Bedroom 12'3x6'6
2nd Level Bedroom 12x8'9
2nd Level Eat In Kitchen 15x8'2

Garage & Parking

Garage
Y
Details
Single car garage

Inclusions & Exclusions

Inclusions
major appliances

Sales History

Demographic Data

Demographic data is based on the dissemination area that contains the listing parcel . Dissemination Areas are small areas composed of one or more neighbouring dissemination blocks. All of Canada is divided into dissemination areas. Data source: Environics Analytics via ArcGIS Online, 2021

Population Size

494

Median Age

53.2

Avg Household Size

2.3

Avg House Income

$78K

The number of people for each age range.

How the population of this area is expected to change.

The highest level of education obtained by people within this area.

The maritial status of the people in this area.

The average household income within this area.

The number of people that rent versus own.

When the buildings in the area were constructed.

The number of children at home for the given age ranges.

The occupations of the people living here.

Tax Assessment

Year Amount % Change
2024 $201,200 ---
2023 $166,500 ---
2022 $131,400 ---
2021 $122,500 ---
2020 $122,300 ---
2019 $120,200 ---
2018 $115,300 ---
2017 $112,100 ---
2016 $105,300 ---
2015 $99,700 ---
2014 $93,400 ---
2013 $70,600 ---
2012 $67,500 ---

Maps

Mortgage Inquiries

Last Updated On: 11/18/2025 11:10:28 AM (UTC)